Pixel Puzzler: Extracting value from images. Dark data, be gone!
Picture this: (you’ll see what I did there in a minute) somewhere in your organisation's digital archives sit thousands of photographs that no human will ever properly examine. Site surveys gathering digital dust. Historical plans filed away and forgotten. Every day, organisations collect thousands of images through surveys, forms, IoT devices, security cameras and mobile applications. Yet the vast majority of this visual information remains what we would call "dark data.” Information we pay to store, carry environmental costs to maintain and shoulder compliance risks to retain, yet extract virtually no value from whatsoever.
As someone who's been working with FME for over 20 years, I've witnessed an extraordinary transformation. Dale Lutz, one of the co-founders of Safe Software, once famously declared that FME would "never do raster." A position that evolved dramatically in 2007 as Raster was given the Vector treatment in FME, providing a way for us to load, mosaic, clip, reproject and serve a multitude of raster formats in FME.
Today, integrated AI capabilities are transforming how we approach visual information. Where we once might only clip, zip, and ship image files, we can now interrogate, classify, and extract semantic meaning automatically. The potential for extracting meaningful insights from this visual data is enormous, where traditionally, the manual effort made it near impossible, with FME and AI, now we can turn what once was dark data into actionable intelligence, and see the light!
The power in using FME to extract information from our images lies in its flexibility. Different AI services excel at different tasks, and FME's orchestration capabilities allow us to pick and choose the tool that best suits the task. We can also chain these services together, using each where it performs best whilst maintaining a single, coherent workflow. Whether it be utilising Roboflow’s custom-trained computer vision models, or large language models like OpenAI or Google Gemini for complex analysis, FME parses the JSON responses into structured attributes that can be further processed in FME and beyond.
Let’s look at some recent work we’ve been involved with at Avineon Tensing and how we’ve be utilising FME and various AI services to provide real world solutions for our clients.

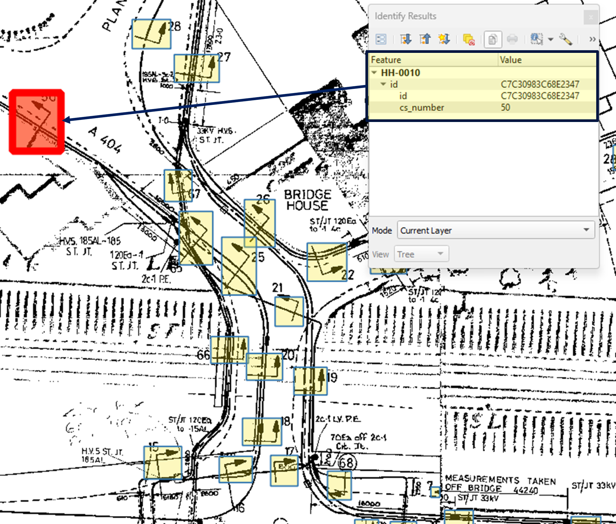
UK Power Networks maintains decades of historical engineering plans documenting the critical infrastructure across their network. Within these drawings are thousands of cross-sectional reference markers of arrow symbols with accompanying ID numbers that point engineers to detailed technical drawings showing underground cable layouts, configurations and critical infrastructure details. Manually locating these references across decades of documentation was time consuming and error prone.

Our approach demonstrated the power of combining multiple AI services to leverage each system's strengths. We trained a Roboflow model to identify the distinctive arrow symbols that marked cross-section locations. This computer vision model achieved impressive accuracy in locating the arrows themselves.
However, for reading the associated ID numbers, we found that Google's Gemini AI provided superior optical character recognition capabilities. By creating a workflow that first used Roboflow to identify and crop the relevant sections, then passed these cropped images to Gemini for text extraction, we achieved 75-80% accuracy in just a couple of days of development.

We could now process entire batches of files automatically, identifying relevant cross-sections and extracting the precise reference numbers needed for detailed technical analysis. By removing the manual effort required to scan through historical plans we help saved UKPN months if not years of work to sort through all of these documents.
This case perfectly demonstrates a key takeaway: you don't have to stick to one AI tool. By combining Roboflow's object detection model with Gemini's excellent text recognition, we achieved far better results than either service could deliver alone all orchestrated perfectly with FME.
You can read more about the work we’ve been doing with UKPN here.

Workspace Group, a leading provider of flexible office spaces across London, approached us with what seemed like a straightforward data migration challenge. They needed to move assets from SharePoint into their digital asset management system (Bynder). However, as conversations developed, a more compelling problem emerged. When prospective tenants rang enquiring about office space in Islington, they weren't just seeking square footage and rental rates. They wanted spaces with "exclusively wooden floors" or "lots of natural light". Qualities that existed in photos but weren't searchable in any database.
To support them, we started by using AI to automatically generate keywords for thousands of property images, making them searchable by these human-centric qualities. FME automated the entire process, converting images to consistent formats, generating AI-powered metadata tags and creating seamless integrations between Bynder, their website and CRM. This ensured real-time availability of the latest images for marketing and sales teams with searchable tags that could be used to inform customers during sales enquiries.
Over time, the project morphed into the creation of compelling, search engine optimised, unique descriptions for hundreds of individual office spaces. With FME, we built a workflow that pulls data from multiple sources simultaneously. Property images flow from Bynder, whilst space specifications arrive from their CRM and building amenities, with area information pulled in from Google Sheets. The multimodal nature of AI meant that we were able to use all these inputs simultaneously, understanding what's in the images, interpreting the data and generating unique descriptions for each space. What previously took copywriters hours per property, now happens in seconds, producing hundreds of tailored descriptions that capture not just features but the feeling and potential of each space.
It wasn’t long before things stepped up another gear though! With the emergence of advanced generative AI tools, including Google’s latest with fun names like Nano Banana, we've moved beyond description into transformation. Using FME to orchestrate these AI services, we can now take an empty office space and instantly visualise its potential.

The workflow is simple yet powerful. FME ingests the original empty room photograph, then multimodal AI analyses the space's dimensions, lighting and features. Based on specific prompts, the AI generates photorealistic visualisations that transform empty shells into vibrant workspaces. This goes beyond just rendering furniture into a photo. The multimodal AI understands spatial relationships, lighting physics and design principles. It maintains the room's actual original features whilst reimagining its purpose, creating visualisations so that potential tenants can truly picture themselves in the space.
Find out more about how Workspace Group are transforming property marketing with FME here
The transformation we're seeing with generative AI and image processing is just the beginning. Whether you're managing property portfolios, maintaining critical infrastructure, conducting site visits or any other image-intensive operation, the combination of AI services with FME's orchestration capabilities offers a practical path to unlock the value hidden in your visual data. Taking you from in the dark, into the light!
The future isn't about replacing human intelligence with artificial intelligence; it's about combining them to achieve what neither could accomplish alone. With FME as our orchestration engine and a growing toolbox of AI services at our fingertips, we can now transform all our visual information into clear, actionable insights.
The tools exist today, the techniques are proven and the returns are tangible. The only remaining question is: what stories are your images waiting to tell you?